Port Of Call Drive
- Villas
- 30,000 sq.ft.
Property reference: b462-65243
Features
- Property Size 30,000 sq.ft.
- No of bedrooms Studio
- Built-up Area 30 Sq.Ft.
- Category Villas
Property Overview
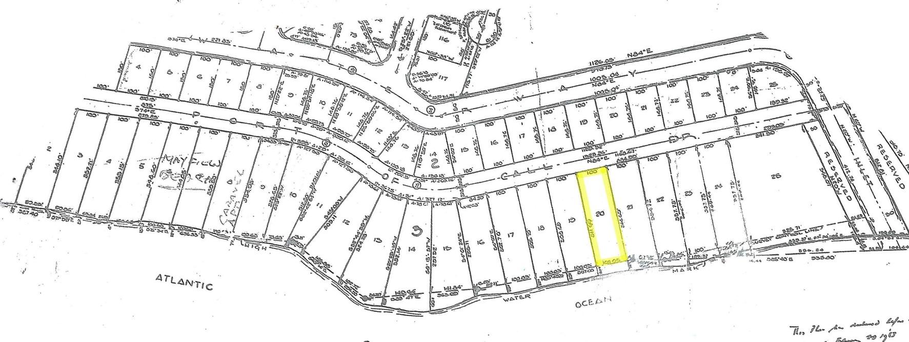
This is a great opportunity to own a waterfront commercial lot in an excellent location Located in the Bahama Terrace area this beachfront commercial lot is ideal with private access to the ocean Zoned tourist commercial you can build a high rise hotel restaurant condominium complex or a single family home Boasting 100 of Ocean frontage and 30000 square feet Give us a call let us arrange a viewing today
Map View
BSD 350,000
Port Of Call Drive
- Villas
- 30,000 sq.ft.
Property
Schools
Restaurants
Hospitals
Parks
Location & Nearby
-
Locations
-
Schools
-
Restaurants
-
Hospitals
-
Parks
Contact Person:











